【进行中】天津市津南区交通运输管理局关于公开征求津南区通航水域范围意见的公告
公告
天津市津南区交通运输管理局关于公开征求津南区通航水域范围意见的公告
为进一步规范津南区内河通航水域管理,保障我区内河水上交通安全,依据《中华人民共和国内河交通安全管理条例》《天津市内河通航水域安全管理办法》,现向社会各界公开征求划定市津南区通航水域意见。
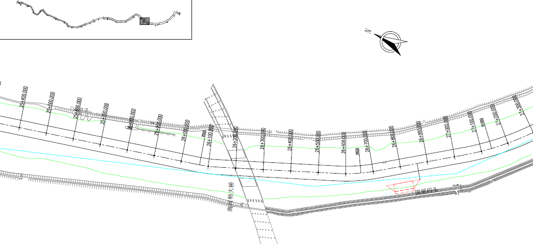
本次拟划定通航水域包含津南区海河航道内部水域、码头(客运船舶停靠点)前沿及其连接水域(示意图),相关具体参数按照已公布的航道维护尺度和码头(客运船舶停靠点)的设计图纸数据为准。
一、意见征求时间
2025年4月28日至5月7日
二、意见提交方式
(一)电子邮件:请发送至电子邮箱jnqygj03@tj.gov.cn。
(二)书面信函:请邮寄至天津市津南区交通运输管理局(安全应急科),邮政编码:300350。
三、注意事项
请严格依据有关法律法规提出修改意见(建议)和理由,并在征求意见时限内反馈。
特此公告。
附件:1.津南区内河通航水域范围
2.示意图
2025年4月28日
(联系人:眭云峰,联系电话:022-28513265)
草案正文
附件1
津南区内河通航水域范围
|
序号 |
航道名称 |
起点 |
终点 |
里程(km) |
航道宽度(m) |
现状等级 |
规划等级 |
|
1 |
海河 |
先锋河 |
二道闸上游河道分汊处 |
16.611 |
54 |
Ⅵ |
Ⅵ |
|
2 |
海河 |
二道闸上游河道分汊处 |
二道闸 |
1.124 |
54 |
Ⅵ |
Ⅵ |
航道部分
注:1.先锋河至二道闸上游河道分汊处段航道为津南区和东丽区界河,各自进行监督管理;
2.津南区内河水域中,本表以外的其他水域非内河通航水域。
码头(客运船舶停靠点)部分
|
序号 |
码头(客运船舶停靠点)名称 |
地理位置 |
备注 |
|
1 |
国展码头 |
117°23′06E 39°01′57N |
包含码头前沿水域及 与航道连通的连接水域 |
附件2
示意图
津南区海河航道及国展码头、前沿水域











背景介绍
背景介绍
近年来海河水域频发水上交通事故,导致人命财产损失,引发社会强烈关注。在加快经济发展的现代,人民群众开展文化、体育、娱乐等多种活动行为,都会对水上交通安全产生影响。因此划定内河通航水域,进一步明确水上交通安全监管职责以及规范船舶活动行为,有助于开展水上观光旅游规划,不断满足内河航运企业发展诉求,为推进文旅融合加快旅游业高质量发展提供了制度基础。
公众意见采纳情况反馈
在征求意见期间,未收到社会公众反馈意见。